Озеро Глухое (Рыбоводный участок Глухоприобский в окр. п. Приобский)

ceredovevgenij9

Новичок
Регистрация
16.07.2022
Сообщения
8
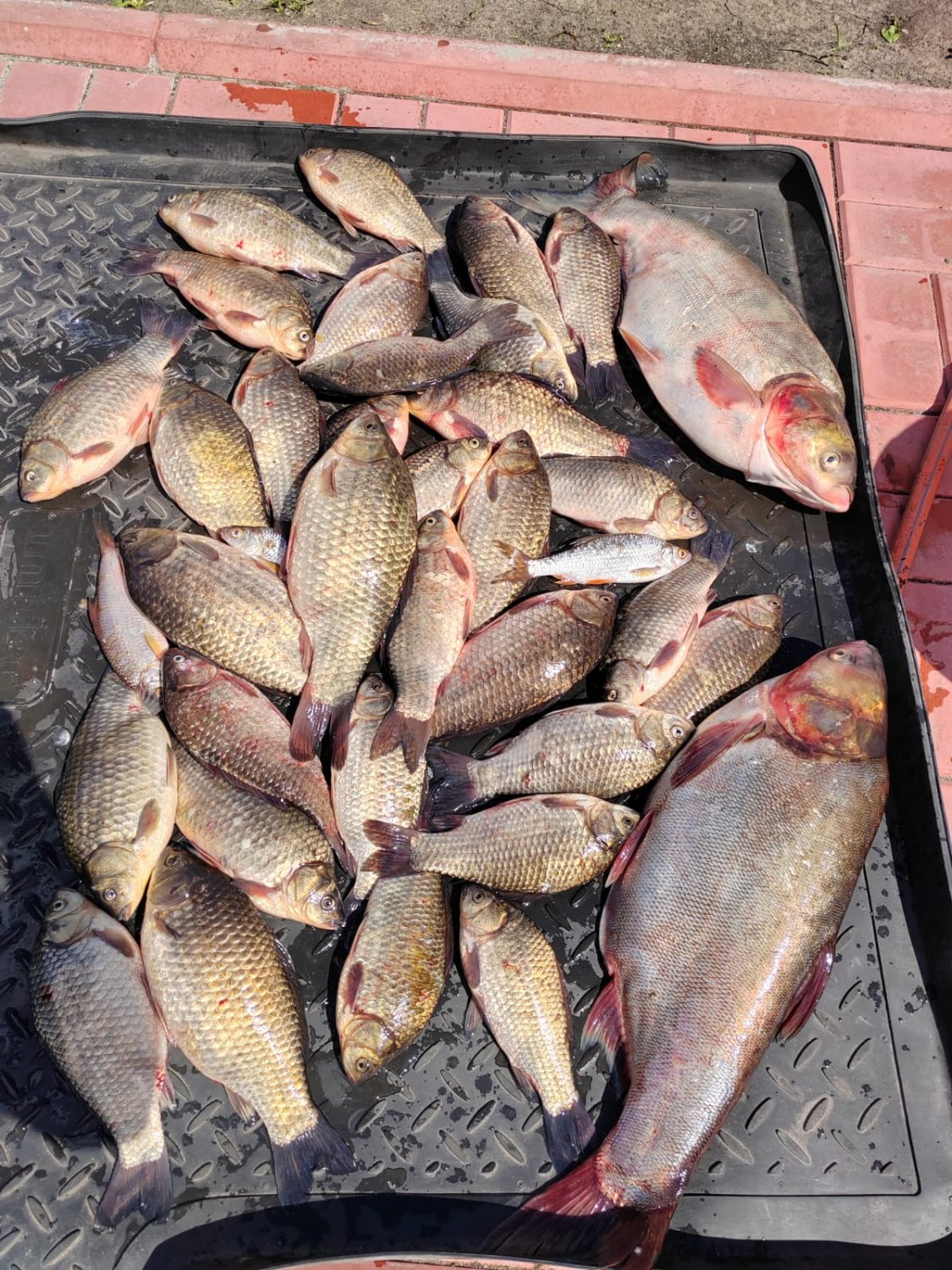
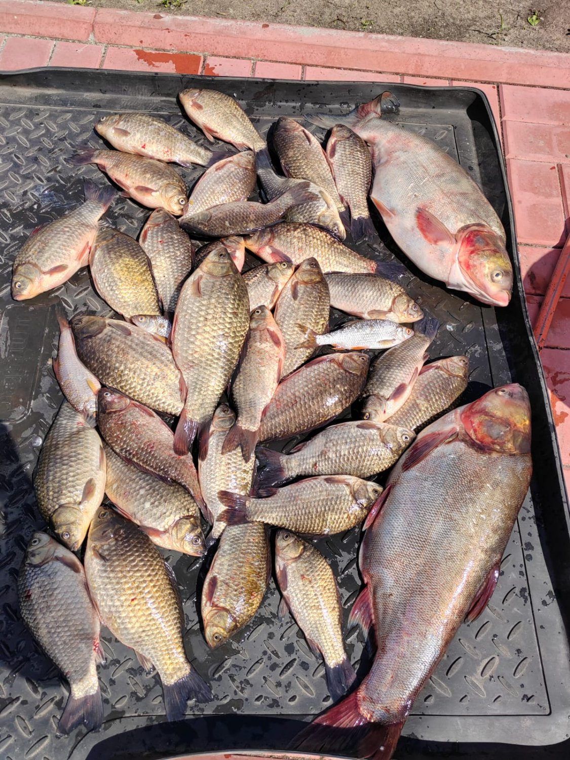
Добрый день, рыбачил сегодня с5 до 12, утром ветер, прохладно, две удочки на Лобастого, две на карася Вышло солнце и пошла жара Карась на опарыша, белый с красным не давал кофе попить, монтажи менял всякие, лучше, конечно, арбуз с коромыслом, три дуплета было, иэто наГлухом!. Итого 33 богатыря и два Лобика по 4 кг, с собой было топлёное молоко, Ну интересно его ловить В кормушках Дунаев клубника, и кукурузу добавил, Не пшикал, Андрей Николаевич снял кино, посмотрите,
 

Вложения

  • IMG-20240619-WA0019.jpg
    IMG-20240619-WA0019.jpg
    456.9 КБ · Просмотры: 269
  • IMG-20240619-WA0005.jpeg
    IMG-20240619-WA0005.jpeg
    399.2 КБ · Просмотры: 250
  • IMG-20240619-WA0009.jpeg
    IMG-20240619-WA0009.jpeg
    504 КБ · Просмотры: 290

Rosinka

Старожил
Регистрация
13.07.2011
Сообщения
1 269
Местоположение
Новосибирск
Добрый день, рыбачил сегодня с5 до 12, утром ветер, прохладно, две удочки на Лобастого, две на карася Вышло солнце и пошла жара Карась на опарыша, белый с красным не давал кофе попить, монтажи менял всякие, лучше, конечно, арбуз с коромыслом, три дуплета было, иэто наГлухом!. Итого 33 богатыря и два Лобика по 4 кг, с собой было топлёное молоко, Ну интересно его ловить В кормушках Дунаев клубника, и кукурузу добавил, Не пшикал, Андрей Николаевич снял кино, посмотрите,
Приветствую. Кино эт конечно громко сказано😳, просто очередная видео подсказка😉:
С уважением
Rosinka
p. s. рыба сегодня ловилась отменно
 

Летающий_багор

Старожил
Регистрация
04.06.2012
Сообщения
937
Местоположение
Новосибирск
Да, епоросете, когда же я приеду на рыбалку, думаешь жара не будет клевать, еще работа накопилась, сейчас приедешь и болта словишь, или за арбузом бежать 🏃🤦🏻‍♂️
 

JolBors

Бывалый рыбак
Регистрация
07.07.2020
Сообщения
36
Да пошла жаришка по карасю!
Это☝️то же "стадо" которых я на ложке выпустил, я их узнал!)
Светлая им память...
Ща всех выловят, потом опять три года мошку кормить на озере будем(...
 

Kurgan-novosib

Новичок
Регистрация
01.04.2017
Сообщения
22
Только я его никому не покажу пока админ выложить не поможет. Опять сайт пишет что файл слишком большой. Усли кому интересно в вестях уже выложил.
 

Вложения

  • IMG-20240622-WA0023.jpg
    IMG-20240622-WA0023.jpg
    716.3 КБ · Просмотры: 203
  • IMG-20240622-WA0021.jpg
    IMG-20240622-WA0021.jpg
    459.4 КБ · Просмотры: 198
  • IMG-20240622-WA0022.jpg
    IMG-20240622-WA0022.jpg
    445.8 КБ · Просмотры: 220
Последнее редактирование модератором:

Rosinka

Старожил
Регистрация
13.07.2011
Сообщения
1 269
Местоположение
Новосибирск
Только я его никому не покажу пока админ выложить не поможет. Опять сайт пишет что файл слишком большой. Усли кому интересно в вестях уже выложил.Посмотреть вложение 189150
Приветствую.
Вот не идут такие на спиннинг на искусственные приманки, хоть убейся не идут и все тут, как и щука.
Вот на живые насадки (плотву, окуня) хватают. Что по лету, что по зиме на жерлицы.
Слишком много еды для них делаем, когда нерестилища с елового лапника привозим с реки.
С уважением
Rosinka
p. s.
Почему же на призовом пеньке не сфоткали?
 
Последнее редактирование модератором:

Kurgan-novosib

Новичок
Регистрация
01.04.2017
Сообщения
22
Он и съел сорогу которая сидела на крючке пока я чай пил. А на пенёк заезжать лень. На жаре устал, домой торопился🤷‍♂️
 

Rosinka

Старожил
Регистрация
13.07.2011
Сообщения
1 269
Местоположение
Новосибирск

maxsib

Новичок
Регистрация
24.06.2024
Сообщения
2
Здравствуйте! Подскажите, пожалуйста, актуальные цены на ловлю рыбы на озере Глухое
 
Последнее редактирование:

Rosinka

Старожил
Регистрация
13.07.2011
Сообщения
1 269
Местоположение
Новосибирск
Здравствуйте! Подскажите, пожалуйста, актуальные цены на ловлю рыбы на озере Глухое
Приветствую.
 

Летающий_багор

Старожил
Регистрация
04.06.2012
Сообщения
937
Местоположение
Новосибирск
Здравствуйте, сегодня все таки решил выехать порыбачить не смотря на жару, приехал в 6-20, поговорил с Виктором, говорит ловят, доехал до ложки, все окопы почти заняты, нашел одно местечко, замесил прикорм и начал кормить, фидер на карася, поплавок на плотву ну и на карася, на фидер мелкая плотва на все подряд, а на удочку хорошая плотва, на кукурузу, кое- как порыбачил до 11, мошка покоя не дает, жара просто ебей..ая, собрал шмурдяк и в магаз за пивом, жду спада жары, а там за лобиком можно ехать, на фидер поймал одного Карасика на перловку, чем кормил на фото. Итог 14 плотвы и одыН Карасик.
 

Вложения

  • IMG_2486.jpeg
    IMG_2486.jpeg
    490.6 КБ · Просмотры: 107
  • IMG_2487.jpeg
    IMG_2487.jpeg
    479 КБ · Просмотры: 106
  • IMG_2488.jpeg
    IMG_2488.jpeg
    547.3 КБ · Просмотры: 124
  • IMG_2489.jpeg
    IMG_2489.jpeg
    298.2 КБ · Просмотры: 107
  • IMG_2490.jpeg
    IMG_2490.jpeg
    450.7 КБ · Просмотры: 112
  • IMG_2491.jpeg
    IMG_2491.jpeg
    420.4 КБ · Просмотры: 110

eugenetcheredov

Бывалый рыбак
Регистрация
25.07.2020
Сообщения
30
Местоположение
Новосибирск
Добрый день, приехал вчера в 18 часов на озеро, с ночевой , на берегу с тополями отдыхающие, жара, Место хорошее есть в конце озера, можно и палатку поставить, только пришлось попотеть часок, покосил два прогала себе и внуку от кувшинок, Как всегда две удочки на Лобика, две на карася, Лобик взял около 22, планктон был клубника, креветка, вес 5 кг, Дома завешан был, Только немного стемнело, на месте поплавка бурун и какая-то серебряная ракета с бешеной скоростью собирает все снасти и не останавливаясь уходит в кувшинки и все, На утро собирал монтаж из чего было, Внук говорит , вроде щукарь , не знаю. Ночью гремело, сверкало вдалеке, клева не было, На карася поставил опарыша и траппер чеснок, С 6утра до 8 поймали 5 штук
 

Вложения

  • IMG_20240627_100211.jpg
    IMG_20240627_100211.jpg
    458.7 КБ · Просмотры: 117